BROKERS 21- Inmobiliaria

  • 2299062403
  • inmobiliaria-de-pilar-carlo.easybroker.com

Tlaxcala , La Trasquila, Atlangatepec, Terreno, Venta

Atlangatepec, Atlangatepec

$25,656,800 For Sale

  • 64,142.92 m² Lot Size
  • EB-RC5895 ID
Description

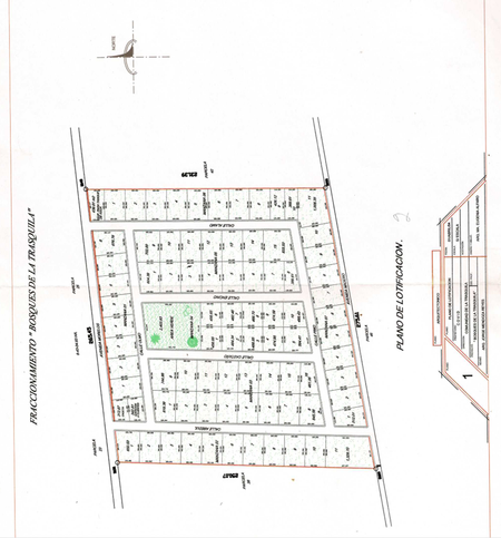
-Complejo eco - campestre " La Quinta Trasquila "

Hermoso Terreno en Tlaxcala de forma irregular parecida a la de un rectángulo que cuenta con las siguientes medidas :

Terreno :
Superficie del Terreno : 64,142.92 m2

Colindancias
-Al norte 265.45 m colinda con AV Morelos
-Al sur 275.39 mcolinda con AV Madero
- Al sureste 231.39 colinda con melga de parcela 42
- Al noreste 25.07 colinda con Melga parcela 38

Urbanización :

- Área Total de Lotes : 48,411.95 m2
- Área Libre : 2,403.93 m2
- Área de Vialidades : 12 ,232.23 m2
- Sup . P/ tanque de agua : 439.81 m2
- Sup de caseta y atención : 655.47 m2
Logrando con esto una taza regular de 56 lotes de 600.00 m2 y 25 lotes de forma irregular

Caracteristicas de Urbanización :
El fraccionamiento cuenta con tres accesos libres viales y peatonales dos interpuestos sobre la avenida Morelos y uno del lado norte del complejo sobre la avenida Madero

- El proyecto eco- campestre esta listo y puede llevarse acabo en caso de que le interese realizarlo o simplemente se puede adquirir el terreno fraccionado o por el total .

- Gracias a la localización del Terreno , el terreno cuenta con varios puntos de interés en los que puede llegar hacer un atractivo turístico

Haz tu mejor oferta sobre el valor de venta y cómpralo a un super precio.
Solamente al contado o cualquier tipo de credito Sin apartados, sin anticipos.

Los inmuebles están sujetos a cambio de precio, sin previo aviso. Todo el proceso ante notario público. No se aceptan pagos en línea.

BROKERS 21- Inmobiliaria

  • 2299062403
  • inmobiliaria-de-pilar-carlo.easybroker.com

BROKERS 21- Inmobiliaria

  • 2299062403
  • inmobiliaria-de-pilar-carlo.easybroker.com